Dni Zduńskiej Woli 2023. Zmiany w organizacji ruchu
Kierowcy muszą liczyć się z utrudnieniami w ruchu, w związku z koncertami jakie będą organizowane w ramach tegorocznych Dni Zduńskiej Woli. Zamknięte będą częściowo ulice w sobotę i niedzielę, 17-18 czerwca.
W sobotę, 17 czerwca, zamknięta będzie ulica prof. Tadeusza Kobusiewicza na odcinku od ul. Piwnej do ronda Bronisława Jackowskiego oraz ulica Podmiejska do przepustu nad rzeką Pichną. Ograniczenia w ruchu samochodów będą obowiązywały od godz. 15:00 do godz. 2:00 w niedzielę, 18 czerwca.
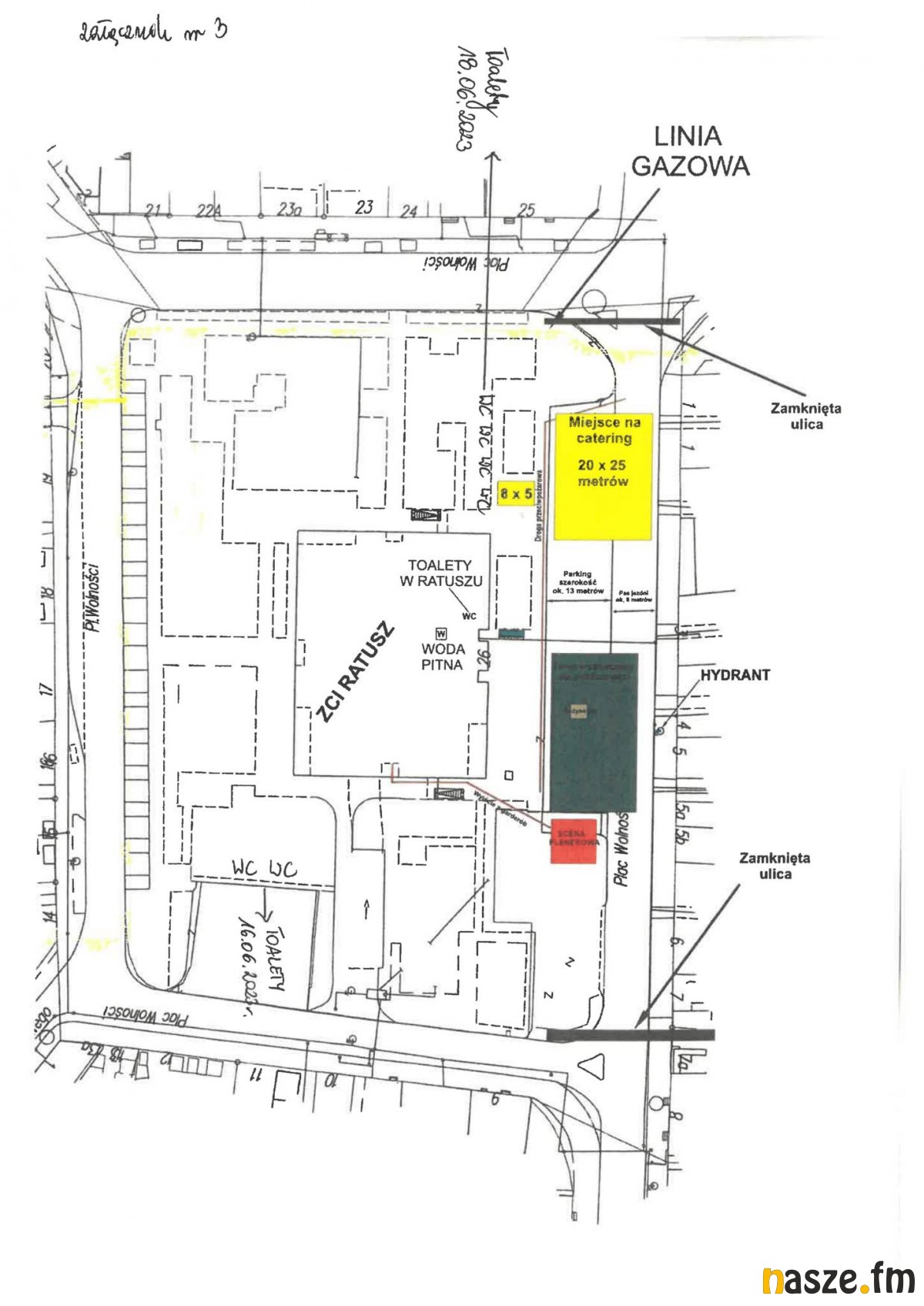
Z kolei w niedzielę, 18 czerwca, będą ograniczenia w ruchu na placu Wolności. Od godz. 6:00 do północy zamknięty będzie południowy odcinek jedni od skrzyżowania z ul. Sieradzką do skrzyżowania z ul. Kościelną.
Poniżej publikujemy mapki ze zmianami w organizacji ruchu.
Więcej informacji
Koncert audiowizualny dla dzieci Uszy Duszy
Dzisiaj, 05:18:25
Ceniony, nagradzany spektakl muzyczny dla najmłodszych. Połączenie teatru instrumentalnego, światła i dźwięku, do tego delikatna, zaczarowana atmosfera, która wciąga dzieci.
Zduńska Wola, gra do jednej bramki dla Franka
Wczoraj, 15:34:10
Policja w Zduńskiej Woli organizuje charytatywną imprezę sportową by zebrać pieniądze na specjalistyczne badanie głowy 12-letniego Franka, syna policjantki ze zduńskowolskiej komendy. To badanie musi być przeprowadzane w specjalistycznej klinice w Niemczech.
Ogólnopolskie Spotkania Teatralne
Wczoraj, 14:30:39
Scena, która nie ocenia, a uczy. Ludzie, którzy czują tak samo. To właśnie WTOOPA. W Zduńskiej Woli rozpoczyna się 28. edycja Ogólnopolskich Spotkań Teatralnych.
