Czas na nowe chodniki
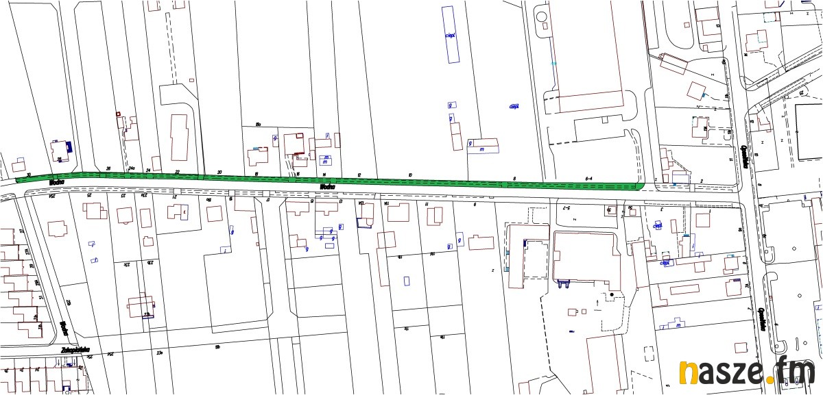
Najpierw projekt, potem przebudowa. To będzie już czwarty etap przebudowy chodników przy miejskich ulicach w Zduńskiej Woli. W tym roku na ten cel przeznaczonych zostanie ponad milion złotych. Prace potrwają do końca roku.
W formule "zaprojektuj i wybuduj" rozstrzygnięto przetarg na odnowienie ciągów pieszych w Zduńskiej Woli w czwartym etapie. Prace obejmą ponad 2,5 tys. metrów kwadratowych miejskich chodników przy kilku ulicach. To północna strona ulicy Wodnej, a także ciągi piesze przy ulicy Słowiańskiej oraz część przy ulicy Wolskiej od ulicy Szadkowskiej do Słowiańskiej. Kolejny odcinek nowego chodnika powstać ma przy ul. Długiej na odcinku od ronda Żołnierzy Wyklętych do zakładów "Wola". Przebudowany ma zostać także odcinek chodnika przy ul. Juliusza Sylli po stronie północnej. Przewidziano też przebudowę przejścia do ul. Henryka Wieniawskiego pomiędzy ul. Złotą 49 i 51. Nowy docinek chodnika powstać ma również przy ul. Liliowej oraz ul. Azaliowej na odcinku do ul. Konwaliowej.
W przetargu wybrana została oferta firmy ŻWIR-TRANS Sp. z o.o., która zaproponowała cenę 1 093 193,25 zł. Termin realizacji prac to pół roku od podpisania umowy z wykonawcą. W pierwszym etapie ma być przygotowana dokumentacja projektowa i uzyskane pozwolenia na wykonanie robót. Następnym etapem będzie rozbiórka starych płyt i ułożenie nowych nawierzchni chodników.
Więcej informacji
Oddaj krew u wojskowych
Dzisiaj, 12:36:18
Ruszyły w regionie pierwsze tegoroczne zbiórki krwi. Płynem życia będzie można się niebawem podzielić w Klubie 15 Sieradzkiej Brygady Łączności. Akcja jest adresowana do mieszkańców miasta i regionu.
Bezpieczeństwo w górach. Jakie szlaki dla średniozaawansowanych wybrać w Tatrach?
Dzisiaj, 11:01:43
Tatry kojarzą się większości z nas głównie ze skalistymi turniami, żlebami, piargami i poszarpanymi krawędziami, które tworzą unikalny, wysokogórski krajobraz. Te surowe widoki są szczególnie charakterystyczne dla Tatr Wysokich, które słyną ze szlaków o bardzo zróżnicowanym stopniu trudności. Planując wycieczkę w ten rejon, warto zastanowić się, jakie szlaki dla średniozaawansowanych wybrać, aby czerpać radość z wędrówki bez ryzyka, oraz jak zadbać o własne bezpieczeństwo w górach.
Św. Maksymilian Kolbe honorowym obywatelem Teresina
Dzisiaj, 11:53:19
Patron Zduńskiej Woli św. Maksymilian Maria Kolbe otrzymał tytułu Honorowego Obywatela Gminy Teresin. Tytuł został mu nadany w 85. rocznicę jego aresztowania przez niemieckich okupantów w czasie II wojny światowej. W uroczystej sesji Rady Gminy Teresin brali udział przedstawiciele samorządu Zduńskiej Woli, gdzie święty się urodził.

Komentarze